如何设置文件例外或禁用 WildFire 内联 ML 模型

如何设置文件例外或禁用 WildFire 内联 ML 模型

24906
Created On 06/08/23 06:35 AM - Last Modified 07/27/23 02:22 AM


Environment


  • 泛操作系统 10.0 或更高版本
  • 主动野火许可证


Procedure


如果您的 WildFire Analysis 安全配置文件配置为转发使用 WildFire 内联 ML 分析的文件类型,则误报会在收到时自动纠正。 
 

如果发现误报,客户可以继续设置例外以允许可信文件。 当 WildFire 分析安全配置文件未配置为将文件转发到 WildFire 进行分析时,通常会执行此操作。 以下是设置例外的两种方法。

1. 通过指定威胁日志中的文件,将文件例外添加到防病毒安全配置文件。

  • 导航到威胁日志并单击“放大镜”图标以查看详细日志,单击“创建例外”以获取特定文件的部分哈希值。
威胁日志详细信息
 
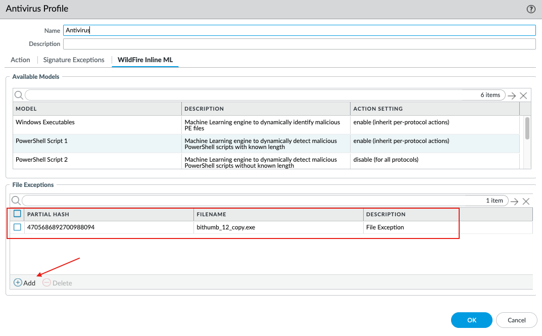
  • 或者,手动复制部分哈希并将其添加到防病毒配置文件(WildFire Inline ML 选项卡)下。
文件异常


 
2. 如果您需要暂时禁用 ML 模型,可以通过将设置更改为“仅警报(覆盖更严格的警报操作)”或“禁用(对于所有协议)”来实现。
截图 2023-06-08 2.31.56 PM.png

 

笔记:如果您继续看到由 WildFire Analysis 分类为良性的文件的毫升病毒警报,请联系 Palo Alto Networks 支持。

     


    Additional Information


    启用高级 WildFire 内联 ML

    配置 WildFire 内联 ML

     



    Actions
    • Print
    • Copy Link

      https://knowledgebase.paloaltonetworks.com/KCSArticleDetail?id=kA14u000000bpylCAA&lang=zh_CN&refURL=http%3A%2F%2Fknowledgebase.paloaltonetworks.com%2FKCSArticleDetail

    Choose Language