Comment définir une exception de fichier ou désactiver le modèle WildFire Inline ML

Comment définir une exception de fichier ou désactiver le modèle WildFire Inline ML

25174
Created On 06/08/23 06:35 AM - Last Modified 07/27/23 02:22 AM


Environment


  • PAN-OS 10.0 ou supérieur
  • Permis actif de lutte contre les feux de forêt


Procedure


Si votre profil de sécurité WildFire Analysis est configuré pour transférer les types de fichiers analysés à l’aide de WildFire Inline ML, les faux positifs sont automatiquement corrigés au fur et à mesure de leur réception. 
 

Si des faux positifs sont observés, le client peut continuer à définir une exception pour autoriser le fichier approuvé. Cela se produit généralement lorsque le profil de sécurité d’analyse WildFire n’est pas configuré pour transférer des fichiers à WildFire pour analyse. Vous trouverez ci-dessous 2 méthodes pour définir une exception.

 

1. Ajoutez une exception de fichier au profil de sécurité antivirus en spécifiant un fichier à partir des journaux des menaces.

  • Accédez à Journaux des menaces et cliquez sur l’icône « loupe » pour afficher le journal détaillé, cliquez sur « Créer une exception » pour le hachage partiel du fichier spécifique.
Détails du journal-de-menace
 
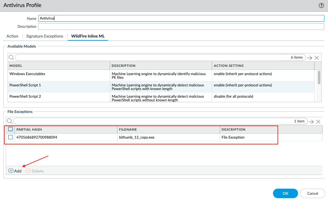
  • Vous pouvez également copier manuellement le hachage partiel et l’ajouter sous Profil antivirus (onglet WildFire Inline ML).
Fichier-Exception


 
2. Si vous devez désactiver temporairement le modèle ML, vous pouvez le faire en modifiant le paramètre sur « alerte uniquement (remplacer les actions plus strictes pour alerter) » ou « désactiver (pour tous les protocoles) ».
Capture d’écran 2023-06-08 à 2.31.56 PM.png

 

Remarque : Si vous continuez à voir des alertes de virus ml pour des fichiers qui ont été classés comme bénins par WildFire Analysis, veuillez contacter le support Palo Alto Networks.

     


    Additional Information


    Activer Advanced WildFire Inline ML

    Configurer WildFire Inline ML

     



    Actions
    • Print
    • Copy Link

      https://knowledgebase.paloaltonetworks.com/KCSArticleDetail?id=kA14u000000bpylCAA&lang=fr&refURL=http%3A%2F%2Fknowledgebase.paloaltonetworks.com%2FKCSArticleDetail

    Choose Language