So legen Sie eine Dateiausnahme fest oder deaktivieren das WildFire Inline ML-Modell

So legen Sie eine Dateiausnahme fest oder deaktivieren das WildFire Inline ML-Modell

25172
Created On 06/08/23 06:35 AM - Last Modified 07/27/23 02:22 AM


Environment


  • PAN-OS 10.0 oder höher
  • Aktive WildFire-Lizenz


Procedure


Wenn Ihr WildFire Analysis-Sicherheitsprofil so konfiguriert ist, dass die mit WildFire Inline ML analysierten Dateitypen weitergeleitet werden, werden falsch positive Ergebnisse automatisch korrigiert, sobald sie empfangen werden. 
 

Für den Fall, dass falsch positive Ergebnisse beobachtet werden, kann der Kunde eine Ausnahme festlegen, um die vertrauenswürdige Datei zuzulassen. Dies geschieht in der Regel, wenn das WildFire Analysis-Sicherheitsprofil nicht so konfiguriert ist, dass Dateien zur Analyse an WildFire weitergeleitet werden. Im Folgenden finden Sie 2 Methoden zum Festlegen einer Ausnahme.

 

1. Fügen Sie dem Antivirus-Sicherheitsprofil eine Dateiausnahme hinzu, indem Sie eine Datei aus den Bedrohungsprotokollen angeben.

  • Navigieren Sie zu den Bedrohungsprotokollen und klicken Sie auf das "Lupen"-Symbol, um das detaillierte Protokoll anzuzeigen, klicken Sie auf "Ausnahme erstellen" für den partiellen Hash der jeweiligen Datei.
Details zum Bedrohungsprotokoll
 
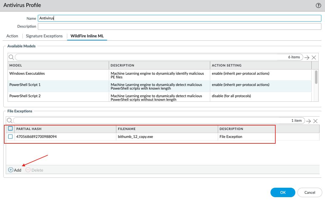
  • Alternativ können Sie den partiellen Hash manuell kopieren und unter Antivirus-Profil (Registerkarte WildFire Inline ML) hinzufügen.
Datei-Ausnahme


 
2. Wenn Sie das ML-Modell vorübergehend deaktivieren müssen, können Sie dies tun, indem Sie die Einstellung in "Nur Warnung (strengere Aktionen zur Warnung überschreiben)" oder "Deaktivieren (für alle Protokolle)" ändern.
Screenshot vom 08.06.2023 um 14.31.56.png

 

Hinweis: Wenn Sie weiterhin ml-viren-Warnungen für Dateien sehen, die von WildFire Analysis als gutartig eingestuft wurden, wenden Sie sich bitte an den Palo Alto Networks-Support.

     


    Additional Information


    Erweitertes WildFire Inline ML aktivieren

    Konfigurieren von WildFire Inline ML

     



    Actions
    • Print
    • Copy Link

      https://knowledgebase.paloaltonetworks.com/KCSArticleDetail?id=kA14u000000bpylCAA&lang=de&refURL=http%3A%2F%2Fknowledgebase.paloaltonetworks.com%2FKCSArticleDetail

    Choose Language